Free account required
2
Free account required
$3,900,000 Sale
Listed 12 hours ago
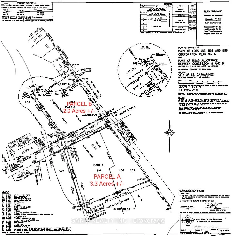
65 Oakdale Avenue
· 0
· 0
· -
· -
Listing History
Buy/Sell/Terminated/Expired listing history for 65 Oakdale Avenue
Key Facts
Key facts for 65 Oakdale Avenue
Property Type
Lots/Land
Parking
-
MLS #
X12448322
Size
-
Basement
-
Listed on
2025-10-06
Lot size
0 x 0.0
Tax
$49,600 /yr
Days on Market
1
Approximate Age
-
Maintenance Fee
-
Description
Infill High-Density Residential Development land in dynamic growth area. Centrally located with close proximity to wide range of amenities and transportation. PARCEL A (3.3 Acres +/-) and PARCEL B (2.0 Acres +/-) can be purchased separately. As-Is/Where-Is Under Power of Sale.
Similar Properties (No results)
Courtesy of: GANO REALTY INC.